2.21 우럭
페이지 정보
작성자 마린초이스 작성일21-02-24 20:00 조회7,960회 댓글0건관련링크
본문
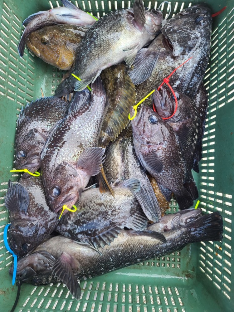
강릉피싱호우럭조과입니다
예보에선 연안바람잔다고하였는데 태풍급바람이였습니다
우럭마릿수는30여수하였습니다
바람만아니였으면 좀더 좋은조과였을텐데 아쉽습니다
바람에 고생정말많으셨습니다
바람에 전투낚시였습니다
예보에선 연안바람잔다고하였는데 태풍급바람이였습니다
우럭마릿수는30여수하였습니다
바람만아니였으면 좀더 좋은조과였을텐데 아쉽습니다
바람에 고생정말많으셨습니다
바람에 전투낚시였습니다
댓글목록
등록된 댓글이 없습니다.








